![]() |
11月25日,“奋力”轮装载着长江口二号古船进入上海船厂旧址1号船坞。当日,长江口二号古船在“奋力”轮装载下由横沙码头出发,经过了近12小时的旅程,从长江吴淞口进入黄浦江,最终抵达位于上海杨浦滨江的上海船厂旧址1号船坞,在此安下“新家”。 |
![]() |
“精海”无人艇参与长江口二号古船现场打捞作业。 |
![]() |
古船模拟图。 |
![]() |
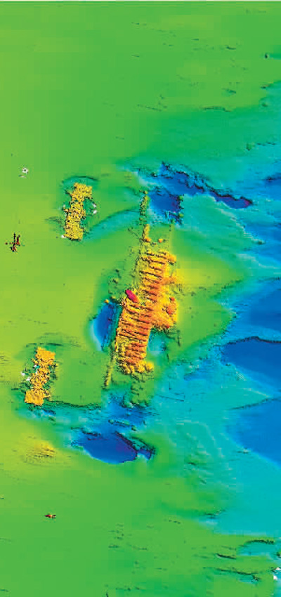
长江口二号古船多波束声呐图。 |
采用世界首创的“弧形梁非接触文物整体迁移技术”,我国迄今水下考古发现的体量最大的木质沉船——长江口二号古船日前在长江口水域成功实施整体打捞。
在寻找和打捞长江口二号古船过程中,科学家跨界“组团出击”,以硬核科技赋能中国水下考古,催生出不少技术创新:“精海”系列无人艇,智能探测长江口二号古船位置、掩埋情况、周围环境;采集海底极其微弱的“波浪能”,为长时间监测保护长江口二号古船及船载文物的水下装备充电;用计算机模拟长江口水域的“沧海桑田”,尝试解密长江口二号古船沉没原因;通过生物基因技术,确定长江口二号古船“年龄”……
从水下摄像系统到“精海6号”环境探测无人艇
水下考古环境复杂、难度极大。长江口水下浑浊不清,几乎拍不到任何有价值的文物图像信息,给考古团队带来了巨大挑战。
2014年,负责长江口二号古船项目的上海文物保护研究中心副主任翟杨向上海大学无人艇工程研究院发出请求:“能不能给我们做一个智能的水下摄像系统,在长江口非常浑浊的水域里也可以拍到海底的文物?”
随后长达8年的时间里,执掌上海大学无人艇工程研究院的80后女将彭艳带着一支50多人的研究团队迎难而上,陆续研发出“水下沉船自动识别辅助系统”、全球首艘“智能化立体采样无人艇”及“机器人水下考古装备”等科研成果,不断向前拉动长江口二号水下考古“进度条”。
然而,当拍摄的水下视频传回来时,发现视频里的青花瓷、陶罐模模糊糊,只能看出个轮廓,根本看不到颜色、纹饰等细节。怎么办?
上海大学无人艇工程研究院总工程师李晓毛擅长图像处理,经过反复试验,他终于找到了增强图像的方法。用上这个新技术,水下拍摄的青花瓷器图像瞬间变得清晰。
彭艳团队实现的另一项科研突破是破解了超低频能量收集的难题,把海底洋流的“波浪能”高效收集起来,利用环境动能为海底的文物监测设备供电,从而实现大规模、不间断地对海底文物进行监测保护。
“在探摸长江口二号古船的几年中,我们发现了一种叫‘电磁突变’的现象,把海底波浪能的能量密度整整提升了47倍。现在,我们的设备在水下监测文物,只需要配上手机充电器大小的充电装置,就可以实时收集海底波浪能,长时间带电工作了。”彭艳说。
上海大学无人艇工程研究院和人工智能研究院还为长江口二号古船量身定制了“精海6号”环境探测无人艇,在艇肚子里携带了80厘米直径的圆柱形“采样蛋宝宝”,到作业区域后自动布放到沉船区域采集数据。
正在构建水下考古人工智能知识图谱
彭艳是国家杰出青年科学基金获得者,她带领的团队年龄梯度从60后到90后,一直奋战在我国海洋一线,是一个多学科交叉融合的技术团队,其中包括控制工程、人工智能、机械、计算机科学、力学、数学等众多学科门类。
彭艳介绍,目前上大团队正在加快构建水下考古人工智能知识图谱。“这种人工智能的水下考古知识谱系,会存储与中国历史、人文、地理、海洋以及文物相关的海量大数据。人工智能可以自己分析整合各种图像、文本、视频、文字,像福尔摩斯一样为水下考古挖掘整理各种线索。”
她畅想,未来的水下考古是高度智能化的——人工智能可以建议水下考古工作者去哪里寻找有价值的沉船;包括无人艇队、无人机等在内的“人工智能考古大军”可以自动搜寻确认海底目标……人工智能还可以应用元宇宙技术让观众沉浸式感受水下考古全过程,仿佛身临其境进入考古现场。
“当人工智能科技碰撞考古学科,一切皆有可能。”彭艳说。
通过一把稻壳锁定古船“年龄”
此外,复旦大学科技考古研究院的科学家团队正对船中出水瓷瓶中的稻壳进行碳十四测年和古植物DNA研究。据此,研究人员可以判断稻壳放入瓷瓶的大致年代,验证出长江口二号古船的“年龄”;并根据稻壳DNA大致推测其产地,结合瓷器的窑口,推测长江口二号的上货港口。这是我国国内首次将分子水平的生物基因研究技术应用于水下考古领域。
看似毫不起眼的稻壳,究竟是如何隐藏了水下沉船的秘密?下一步又将如何破解长江口二号古船的更多密码?故事要从半年前说起——当时,长江口二号古船出水了一批文物,包括底部有“同治年制”篆书底款的景德镇窑绿釉杯、大型青花双耳瓶等。
复旦大学科技考古研究院文少卿副教授领衔的年轻团队受邀参加长江口二号古船的“生物考古”项目。他们在取样双耳瓶中的海底淤泥时,发现这只瓷瓶的肚里还“大有乾坤”——里面竟然藏着数十只小瓷杯,并且里面垫着大量稻壳。与此同时,团队还获得了长江口二号古船上的其他稻壳样本。
“我们以最快速度对长江口二号古船上的这些稻壳进行了碳十四测年,发现它们所处时期比清同治年略早一点点……推测这些稻壳可能是陈年晒干的,专门用于船上物品的固定和防震。当然我们也将对船体不同地点出水的稻壳进行测年,最后综合判断。”文少卿说,稻壳检测结果与瓷器底款互相印证,进一步确定了长江口二号古船是在清同治年间运行的。
不同学科交叉合作,研究古船的“全生命周期”
用生物基因技术解密长江口二号“年龄”,对科学家们而言只是牛刀小试。何谓生物考古?文少卿娓娓道来:“2022年诺贝尔生理学或医学奖授予‘古基因组学’研究人员,而生物考古正是把古基因组学和考古学结合起来。它下面还包括同位素考古、人骨考古、动植物考古、环境考古等。”事实上,在全世界范围内,把分子考古应用于沉船研究也很前沿。
“我们尝试利用不同学科交叉合作,研究长江口二号古船从建造到沉没的‘全生命周期’,以期实现我国现代水下考古的新突破。”上海博物馆馆长褚晓波说。
在文少卿眼中,长江口二号古船并不是一艘静默无言的沉船,而是信息量巨大、生机勃勃的“生命体”。“其实,水下沉船里面有两套生物基因谱系——一套是‘可见的谱系’,里面包括可能存在的出水的人类骸骨、动物的骨骼等;当然,我们更关心的是‘看不见的生物基因谱系’,主要是微生物。通过检测、分析、研究这些生物基因谱系,我们就可以获得庞大的数据,来还原水下沉船这个‘生命体’。”
文少卿介绍说,如果能在长江口二号古船上找到老鼠等啮齿类动物的骨头,或者一些植物种子的遗存,那么就可以通过生物基因研究,分析出当时这艘船可能停靠过哪些地方。再比如,通过对船底泥沙沉积物展开微生物研究,就可以知道长江口二号古船曾在什么水域航行,从而通过它的运行轨迹“拼图”“还原”其整个航线。
“当长江口二号古船出水,公众的目光往往会关注船上的文物是否精美,聚焦闪闪发光的东西,而我们科技考古工作者要去关注和发现的则是最不为人注意的那些泥垢沉积物。科研的乐趣就在于接受挑战、探索未知。我们期待,随着长江口二号古船顺利出水,通过对沉船上两套生物基因谱系分析研究,可以尽快弄清这条古船‘从哪里来、到哪里去’。”文少卿说。
(据新华社电)




